Toronto, Ontario--(Newsfile Corp. - March 18, 2026) - Canadian Silver Hunter Inc. (TSXV: AGH.H) ("Canadian Silver Hunter", "CSH" or the "Company") is pleased to announce positive assay results from the Company's recently completed trench sampling program conducted on the Company's polymetallic stockpile projects located in Michoacan, Mexico (Figure 1). The program took place from December 06, 2025, to December 11, 2025, during the Company's visit to the sites.
A total of 23 trench samples were collected and submitted for analysis, from the Company's three separate stockpile properties: the ES1, EC1 and BM1 respectively. All samples were delivered to the Servicio Geologico Mexicano (SGM) lab in Oaxaca, Mexico for multi-element and fire assays. The assay results are listed below:
| SGM Sample Number | Stockpile Site Sample Number | Au (g/t) | Ag (g/t) | Ag (oz/t) | Cu (%) | Pb (%) | Zn (%) |
| 427454 | BM1-001 | 3.15 | 13.75 | 0.44 | 0.150 | 0.206 | 0.031 |
| 427455 | BM1-002 | 7.33 | 17.30 | 0.56 | 0.503 | 0.172 | 0.058 |
| 427456 | BM1-003 | 0.65 | 8.13 | 0.26 | 0.181 | 0.099 | 0.239 |
| 427457 | BM1-004 | 0.70 | 9.73 | 0.31 | 0.045 | 0.194 | 0.209 |
| 427458 | BM1-005 | 0.90 | 7.78 | 0.25 | 0.053 | 0.210 | 0.136 |
| 427459 | EC1-001 | 0.11 | 718.00 | 23.09 | 1.281 | 0.056 | 0.261 |
| 427460 | EC1-002 | 0.01 | 87.38 | 2.81 | 0.323 | 0.070 | 0.089 |
| 427461 | EC1-003 | 0.02 | 114.75 | 3.69 | 0.489 | 0.070 | 0.076 |
| 427462 | ES1-001 | 0.10 | 371.00 | 11.93 | 0.633 | 0.046 | 0.211 |
| 427463* | ES1-001 | 0.11 | 375.00 | 12.06 | 0.635 | 0.044 | 0.207 |
| 427464 | ES1-002 | 0.04 | 205.08 | 6.59 | 0.429 | 0.039 | 0.147 |
| 427465 | ES1-003 | 0.04 | 209.40 | 6.73 | 0.342 | 0.030 | 0.084 |
| 427466 | ES1-004 | 0.08 | 437.00 | 14.05 | 0.817 | 0.078 | 0.074 |
| 427467 | ES1-005 | 0.09 | 592.00 | 19.04 | 0.626 | 0.046 | 0.259 |
| 427468 | ES1-006 | 0.14 | 538.00 | 17.30 | 0.617 | 0.087 | 0.405 |
| 427469 | ES1-007 | 0.21 | 769.00 | 24.73 | 0.972 | 0.154 | 0.296 |
| 427470 | ES1-008 | 0.08 | 293.00 | 9.42 | 0.393 | 0.105 | 0.189 |
| 427471 | ES1-009 | 0.11 | 234.38 | 7.54 | 0.326 | 0.038 | 0.245 |
| 427472 | ES1-010 | 0.06 | 366.00 | 11.77 | 0.430 | 0.037 | 0.202 |
| 427473 | ES1-011 | 0.22 | 353.00 | 11.35 | 0.288 | 0.132 | 0.245 |
| 427474 | ES1-012 | 0.05 | 230.08 | 7.40 | 0.214 | 0.030 | 0.136 |
| 427475 | ES1-013 | 0.09 | 208.15 | 6.69 | 0.315 | 0.041 | 0.219 |
| 427476 | ES1-014 | 0.40 | 261.20 | 8.40 | 1.264 | 0.094 | 0.075 |
| 427477* | ES1-014 | 0.40 | 270.15 | 8.69 | 1.274 | 0.094 | 0.076 |
| 427478 | ES1-015 | 0.049 | 676.00 | 21.74 | 0.592 | 0.017 | 0.097 |
* Denotes duplicate sample
Historically, the various mining and processing techniques used in the past such as high grading and hand cobbing of the silver-bearing mineralized rock were used to extract a significant quantity of visible silver and the discarded mineralized waste rock was not processed during that period.
CSH believes that based on the recent trench sampling program, all of these stockpiles contain silver, gold, copper, lead and zinc and that reprocessing of these stockpiles offers the Company an opportunity to potentially unlock substantial metal value from these stockpiles.
CSH intends to carry out a volumetric survey to outline the potential volume / tonnages present at each stockpile site along with additional systematic sampling to determine the average polymetallic grades for each site. Concurrent with the above sampling program, the Company will be collecting a composite sample for metallurgical testing.
This work will allow the Company to determine a NI 43-101 compliant mineral resource estimate for these stockpiles along with the completion of a future preliminary economic assessment on the viability of re-processing of this mineralized waste rock material.
Jeff Hunter, President and CEO of CSH stated: "This initial phase of the exploration, sampling, mineral characterization and metallurgical test-work of the ES1, EC1 and BM1 stockpile material will continue to be the focus as we work towards defining a preliminary process flow sheet for the treatment of this material through a process plant."
Sampling and QAQC Procedures
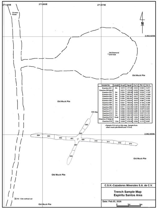
Sampling of each of the stockpiles consisted of digging a trench approximately 10 centimeters deep and 30 centimeters wide to remove all the accumulation of the surficial vegetation. Sampling was performed by collecting material with a shovel tip semi-continuously along the trench bottom and placing it in a plastic sample bag, which was then tagged and tied up. Figure 2 is a plan map showing the trench sampling carried out on the ES1 stockpile.
At the ES1 the muck piles are the leftovers from mining by the Spanish starting over 400 years ago and are classified as "low sulfidation-type" mineralization. The low sulfidation type mineralized veins have intruded into various Upper Cretaceous and Tertiary age rock units and altered granodiorite rocks. Numerous old mines exist in the area where mineralization was hand cobbed with the higher grades taken out and the lower grade material discarded.
At the EC1 the stockpile is comprised of material from the nearby mine which consisted of "low sulfidation-type" mineralization in veins cutting andesitic volcanic rock. Mineralization in the veins consists of sulfides of acanthite, chalcopyrite, pyrite, galena, sphalerite and gold. The higher-grade material from the underground mine was hand separated for shipping and the lower grade was dumped onto the stockpile.
The EC1 sampling was performed by taking vertical cuts of 1 m along various parts of the muck pile. Sampling was done directly by taking the material and placing it into a sample bag which was then tagged and tied up.
At the BM1 stockpile area, the mineralized material is from quartz veins cutting andesites and conglomerate rocks and contains up to a few percentages of pyrite with some chalcopyrite and malachite observed. The material in the stockpiles is from an open-cut mine nearby. The BM1 samples were collected by taking vertical cuts of various lengths within the different muck piles, placing it in a sample bag, then tagged and tied up.
QA/QC procedures included the addition of two duplicate samples to the sample sequence, all of which returned acceptable results.
Each sample was dried and then crushed to 70% passing -2mm and a representative 1kg split was taken by riffle splitting. The split was then pulverized to 85% passing -75 micron and approximately 150g was bagged and labelled, with the remainder being returned to CSH. Gold analyses were performed by 50g fire assay with an atomic absorption finish (method EXP-1E-003) and gravimetric assays (EXP-1E-002) respectively. Silver, copper, zinc and lead analyses were performed by 4-acid Aqua Regia total dissolution with ICP-OES finish performed at the Servicio Geologico Mexicano (SGM) lab in Oaxaca, Mexico. SGM is independent of CSH and is an accredited Entitad Mexicana de Accreditació ESA lab (Q-0401-066/12).
The technical content of this press release has been reviewed and approved by Daniel Leroux, P.Geo., Independent Qualified Person as defined by National Instrument 43-101.
About Canadian Silver Hunter Inc.
Canadian Silver Hunter Inc. is a Canadian mineral exploration company focused on gold, silver and copper exploration in Mexico and Canada. For further details about the Company's projects, plans and results please visit the Company's website at www.canadiansilverhunter.ca.
For more information please contact:
Jeffrey Hunter
President & CEO
(416) 707-4230
jhunter@cshi.ca
CAUTIONARY STATEMENT: Neither the TSX Venture Exchange nor its Regulation Services Provider (as that term is defined in the policies of the TSX Venture Exchange) accepts responsibility for the adequacy or accuracy of this release.
Notice Regarding Forward-Looking Information
Certain information set forth in this news release may contain forward-looking information that involves substantial known and unknown risks and uncertainties. This forward-looking information is subject to numerous risks and uncertainties, certain of which are beyond the control of the Company, including, but not limited to, the impact of general economic conditions, industry conditions, dependence upon regulatory approvals, and commodity prices. Readers are cautioned that the assumptions used in the preparation of such information, although considered reasonable at the time of preparation, may prove to be imprecise and, as such, undue reliance should not be placed on forward-looking information. The Company undertakes no obligation to update forward-looking information except as otherwise may be required by applicable securities law.

Figure 1. CSH Project Location Map
To view an enhanced version of this graphic, please visit:
https://images.newsfilecorp.com/files/4993/288981_cshfig1.jpg

Figure 2. ES1 Trench Sample Map
To view an enhanced version of this graphic, please visit:
https://images.newsfilecorp.com/files/4993/288981_cshfig2.jpg
To view the source version of this press release, please visit https://www.newsfilecorp.com/release/288981
Source: Canadian Silver Hunter Inc.



